Путиловская

Модератор: Nomernoy

Закрыто
Аватара пользователя
TheSeaWind
Сообщения: 352
Зарегистрирован: 28 июн 2022, 14:52
Станция метро: Балтийская Жемчужина
Откуда: Улица Маршала Захарова

Re: Путиловская

Сообщение TheSeaWind »

Love_metro писал(а): 24 май 2025, 18:38 Зачем сделали металлическую перегородку, если и она будет демонтирована?
Изначально МССС поставил перегородку в бывшей НВУ ВШ 5 для ограждения от действующего метрополитена, позднее была сбойка под стволом шахты с временным ходком
Аватара пользователя
TheSeaWind
Сообщения: 352
Зарегистрирован: 28 июн 2022, 14:52
Станция метро: Балтийская Жемчужина
Откуда: Улица Маршала Захарова

Re: Путиловская

Сообщение TheSeaWind »

Love_metro писал(а): 24 май 2025, 18:38 А есть ли фото, что за помещение торцевой стены Кировского завода? Это помещение тоже демонтируют?
За торцевой стеной все помещения уже демонтированы, там служебный проход в нижние помещения станции и в кабельный коллектор
Аватара пользователя
в40
Профессионал
Профессионал
Сообщения: 14816
Зарегистрирован: 05 фев 2009, 19:46
Станция метро: Проспект Большевиков
Откуда: Дачное

Re: Путиловская

Сообщение в40 »

TheSeaWind писал(а): 25 май 2025, 00:03
Love_metro писал(а): 24 май 2025, 18:38 А есть ли фото, что за помещение торцевой стены Кировского завода? Это помещение тоже демонтируют?
За торцевой стеной все помещения уже демонтированы, там служебный проход в нижние помещения станции и в кабельный коллектор
И в верхние (в доминошную). :wink:
О=О=О=О=О=О=О=О=О=О=О=О=О=О=О=О=О=О=О
Аватара пользователя
ButanAnim
Сообщения: 295
Зарегистрирован: 21 сен 2024, 15:49
Станция метро: Театральная
telegram: https://t.me/Baltsiets

Re: Путиловская

Сообщение ButanAnim »

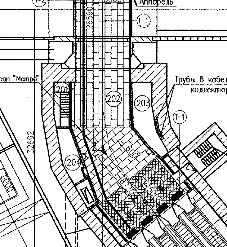
Меня больше всего удручает то, как на ПД сделали "плавный" поворот, либо мне кажется %)
Хотя возможно это обусловлено тем, что не смогли иначе спроектировать прочие помещения что указаны за стенами поворота
Вложения
Снимок экрана 2025-05-27 230545.png
Жду когда эти черти откроют Театральную.
Cypok
Сообщения: 2017
Зарегистрирован: 29 мар 2006, 15:52
Контактная информация:

Re: Путиловская

Сообщение Cypok »

Из комментов в чате Подземника: https://t.me/c/1792427918/148613.

Демонтирована торцевая стена на Кировском.
5310199781710231269.jpg

Оттуда же: https://t.me/c/1792427918/148744.

Строительство перехода.
5309977379713720201.jpg
Ну так сразу и не скажешь... да и вообще не люблю о себе говорить... скромный видно...
Cypok
Сообщения: 2017
Зарегистрирован: 29 мар 2006, 15:52
Контактная информация:

Re: Путиловская

Сообщение Cypok »

Из комментов в чате Подземника: https://t.me/c/1792427918/148878.

Строительство перехода.
5312229179527394896.jpg
5312229179527394897.jpg

Оттуда же: https://t.me/c/1792427918/148890.

Продолжается выверка зон эскалаторов на станции Путиловская перед навешиванием лестничного полотна.
5312229179527395088.jpg
5312229179527395089.jpg
5312229179527395090.jpg
5312229179527395091.jpg

Оттуда же: https://t.me/c/1792427918/148942.
5314616137666915401.jpg
5314616137666915402.jpg
Ну так сразу и не скажешь... да и вообще не люблю о себе говорить... скромный видно...
Cypok
Сообщения: 2017
Зарегистрирован: 29 мар 2006, 15:52
Контактная информация:

Re: Путиловская

Сообщение Cypok »

Из комментов в чате Подземника: https://t.me/c/1792427918/149063.

ВШ 5.
5314616137666916251.jpg

Оттуда же: https://t.me/c/1792427918/149069.

Путиловская 29.05.25.
5314616137666916285.jpg

Оттуда же: https://t.me/c/1792427918/149196.
5316564820163688356.jpg
5316564820163688357.jpg
5316564820163688358.jpg
Ну так сразу и не скажешь... да и вообще не люблю о себе говорить... скромный видно...
Cypok
Сообщения: 2017
Зарегистрирован: 29 мар 2006, 15:52
Контактная информация:

Re: Путиловская

Сообщение Cypok »

Из комментов в чате Подземника: https://t.me/c/1792427918/149216.

Подготовка к пендельтюрам.
5316564820163688484.jpg

Оттуда же: https://t.me/c/1792427918/149249.

Строительство перехода.
5318816619977375457.jpg
5318816619977375458.jpg
Ну так сразу и не скажешь... да и вообще не люблю о себе говорить... скромный видно...
Аватара пользователя
Love_metro
Сообщения: 232
Зарегистрирован: 12 фев 2017, 13:07
Станция метро: Кудрово

Re: Путиловская

Сообщение Love_metro »

Не узнаю место. А синяя металлическая стенка демонтирована? Что за новая перегородка? И что означает стрелка и прямая линия на правой части стены?
Когда я спускаюсь в глубокую шахту на глубине 800 метров и глубже, то я начинаю слышать глубинный призрачный звук. У Вас такое случалось?
Icefer
Сообщения: 1389
Зарегистрирован: 10 июл 2019, 22:38
Станция метро: Морской Фасад

Re: Путиловская

Сообщение Icefer »

Пендель - не пендель, а время не ужмёшь. Если в пуск 31 декабря безе пересадки я пока верю, то вот с пересадкой, при таком её состоянии за 7 месяцев до - вряд ли. Посмотрите фото пересадок Авиамоторной\Электрозаводской за полгода до открытия пересадок. Для снижения эксплуатационных расходов - скорее, просто перенесут пуск с пересадкой на начало 2026. Всё ещё укладывается в 2 станции з 3 года с 1 июля 1991 по 1 июля 2027 (за 36 лет 24 станции). С 01.07.1991 по 01.07.2018 было 18 станций за 27 лет. Могут покатать губернатора по ССВ и до ЮЗ на поезде в качестве "техпуска". Более того, за следующие 3 года (с 01.07.2027 до 01.07.2030) тоже будет +2, похоже, т.к. по Театральной пока никаких движений явных.
Cypok
Сообщения: 2017
Зарегистрирован: 29 мар 2006, 15:52
Контактная информация:

Re: Путиловская

Сообщение Cypok »

Из комментов в чате Подземника: https://t.me/c/1792427918/149346.

Строительство перехода.

Кусочек истории! Участок довоенной штольни, забутованной в 1947-м году.
5323783848439444335.jpg

Оттуда же: https://t.me/c/1792427918/149358.
5323783848439444675.jpg
5323783848439444677.jpg

https://t.me/subwaytalks/168469/207077

На Путиловский сняли часть строительного забора.
5326057346427909733.jpg
Ну так сразу и не скажешь... да и вообще не люблю о себе говорить... скромный видно...
Аватара пользователя
Love_metro
Сообщения: 232
Зарегистрирован: 12 фев 2017, 13:07
Станция метро: Кудрово

Re: Путиловская

Сообщение Love_metro »

Cypok писал(а): 01 июн 2025, 23:09
Кусочек истории! Участок довоенной штольни, забутованной в 1947-м году.
Дерево окончательно сгнило? Труха? И зачем кирпичи? Отдадут кирпичи в музей?
Когда я спускаюсь в глубокую шахту на глубине 800 метров и глубже, то я начинаю слышать глубинный призрачный звук. У Вас такое случалось?
Аватара пользователя
в40
Профессионал
Профессионал
Сообщения: 14816
Зарегистрирован: 05 фев 2009, 19:46
Станция метро: Проспект Большевиков
Откуда: Дачное

Re: Путиловская

Сообщение в40 »

Что значит "зачем кирпичи"?
Чем проще и качественее можно произвести закладку (забутовку) пространства штольни выше человеческого роста - бутовыми камнями по 15-20 килограммов каждый или кирпичами по 3-4 килограмма, поднимая их над головой?

Кирпичи уезжают на свалку вместе с бутовым камнем, боем бетона и обломками брёвен.
Здесь не археологические раскопки проводятся, а строительство метро. На исследование, учёт, систематизацию и хранение этих артефактов времени нет.
О=О=О=О=О=О=О=О=О=О=О=О=О=О=О=О=О=О=О
Аватара пользователя
Love_metro
Сообщения: 232
Зарегистрирован: 12 фев 2017, 13:07
Станция метро: Кудрово

Re: Путиловская

Сообщение Love_metro »

Так у меня просьба, найдите хорошие маркированные кирпичи и отдайте в музей. Здесь загадка, почему прошло 70, и они держатся и в хорошем состоянии. Это нам нужно изучить для строительства новых объектов. Нам нужны долговечные материалы. Археологические находки можно продать за деньги, что можно поднять бизнес. Расскажите, пожалуйста, почему здесь была штольня? Скиньте старую карту подземных шахт и замурованные шахты. Интересно, эта штольня вся забита камнями и кирпичами, есть пустые полости? Хоть древнюю вагонетку бы нашли) и тоже в музей). Меня удивляет балка. Она вроде в хорошем состоянии. И то она не вся сгнила). Из какого марки материала сделана эта балка. Я как конструктор заинтересован долговечной конструкции, включая и метро.)

Что значит «зачем кирпичи»? Владимир40 задал такой вопрос.
Я удивился, я думал, что пустоты замуровывают грунтом или просто заливают водой. А так очень интересная экскурсия по подземному строительству метро. А сколько человек работают на строительстве перехода? Строится переход круглосуточно?
Когда я спускаюсь в глубокую шахту на глубине 800 метров и глубже, то я начинаю слышать глубинный призрачный звук. У Вас такое случалось?
Аватара пользователя
ButanAnim
Сообщения: 295
Зарегистрирован: 21 сен 2024, 15:49
Станция метро: Театральная
telegram: https://t.me/Baltsiets

Re: Путиловская

Сообщение ButanAnim »

На вестибюль станции начали производить монтаж панелей с элементами букв, в будущем которых мы будем понимать, что это за станция.
Но! Мы этого хрен поймём, так как из за небольшой вдавленности эти буквы фиг увидишь, кроме того, они решили всё же использовать шрифт Arial (впрочем по проекту это должно было произойти). :fool:
В целом, это и ожидалось, после названия СКА Арены уже сомневаешься, что дизайнеры, работающие над объектами гос. нужд, додумаются открыть интернет и найти нормальный шрифт, нежели использовать "Вордовский" шрифт. Я бы обомлел если наш любимый Times New Roman использовали :o
Так же у фасада со стороны улицы Васи Алексеева, а конкретно у лестниц, начали что-то копать, кому известно что это - предлагайте, интересно послушать.
Вложения
photo_8_2025-06-02_20-42-25.jpg
photo_7_2025-06-02_20-42-25.jpg
photo_6_2025-06-02_20-42-25.jpg
photo_5_2025-06-02_20-42-25.jpg
photo_4_2025-06-02_20-42-25.jpg
photo_3_2025-06-02_20-42-25.jpg
photo_2_2025-06-02_20-42-25.jpg
photo_1_2025-06-02_20-42-25.jpg
photo_10_2025-06-02_20-42-25.jpg
photo_9_2025-06-02_20-42-25.jpg
Жду когда эти черти откроют Театральную.
Закрыто

Вернуться в «Строительство и проектирование»