Тот самый Тридварас
-
eeros
- Сообщения: 2
- Зарегистрирован: 25 янв 2008, 23:31
-
narushitel
- Сообщения: 2
- Зарегистрирован: 22 янв 2026, 16:47
- Станция метро: Пионерская
Re: Тот самый Тридварас
А можно покачественнее? А то ничего не прочитать
- W0LF
- Сообщения: 762
- Зарегистрирован: 09 ноя 2019, 21:50
- Станция метро: -------
Re: Тот самый Тридварас
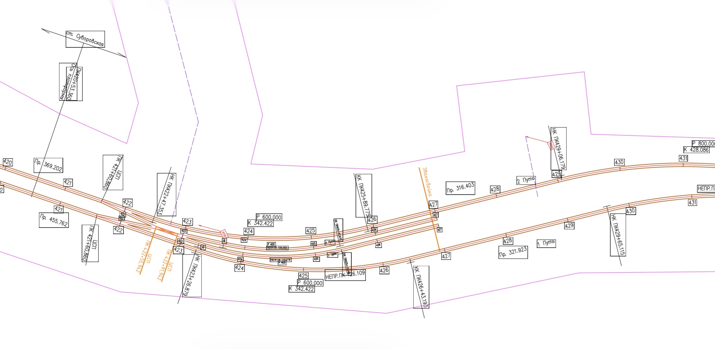
Можно.
-
narushitel
- Сообщения: 2
- Зарегистрирован: 22 янв 2026, 16:47
- Станция метро: Пионерская
Re: Тот самый Тридварас
Интересно, почему заместитель председателя комитета стерт или замазан? А еще 321а свой адрес поменяла, с Энгельса 73а на Энгельса 71а, хотя по картам там вообще БЦ Ренессанс какой то..
- Yanus
- Сообщения: 159
- Зарегистрирован: 18 авг 2017, 01:31
- Станция метро: Озерки
- Откуда: Санкт-Петербург
- Контактная информация:
Re: Тот самый Тридварас
Интересно, что в трассировке линии по продлении ККЛ за Каретную в тупиках за Суворовским сделано такое широкое междупутье. Ещё и подходняк от 859 шахты заканчивается за ~160 метров после конца двух тупиков. К тому же, к станции предполагается строить шахту 858-бис от которой длина подходняка составит ~500-600 метров, в то время как 858 будет очень близко сбоку от 2 главного пути. Интересная конфигурация узла, нигде не нашёл информации, почему именно таким его видят, но как бы наводит на разные мысли 
Местный дилетант
- Nomernoy
- Профессионал

- Сообщения: 5189
- Зарегистрирован: 10 окт 2005, 16:25
- Станция метро: Театральная
- Откуда: Санкт-Петербург
Re: Тот самый Тридварас
Как вариант - оставили пространство для дальнейшей трассировки ССВ на АОЛ. То, о чём вы подумали, как мне кажется, всё же не для размещения в центре города. Шахту-то в иной раз негде посадить 

- ER_head_a
- Сообщения: 35
- Зарегистрирован: 05 июн 2024, 00:46
- Станция метро: Лесная