Кудрово
Модератор: Nomernoy
-
Адмирал
- Сообщения: 2298
- Зарегистрирован: 07 окт 2014, 21:16
- Станция метро: Театральная
- Откуда: Санкт-Петербург
Re: Кудрово
А насколько велики пассажиропоток и интервалы на вилке московской ФЛ?
- kot
- Профессионал

- Сообщения: 8284
- Зарегистрирован: 21 июл 2007, 17:39
- Станция метро: Озерки
- Откуда: издалека
Re: Кудрово
Я в Осло бываю часто, поэтому и привёл этот пример.W0LF писал(а):Спрашиваете чем плоха вилка, а потом хвалите вилку в городе с 95 станциями при населении какие то жалкие 670 тысяч. Не надо так...
Можно на Лондон посмотреть, если что.
Если не знаешь, что делать - не делай ничего.
-
Gleb
- Сообщения: 898
- Зарегистрирован: 22 май 2006, 23:11
- Станция метро: Новочеркасская
Re: Кудрово
Gleb писал(а):АНО «Дирекция по развитию транспортной системы Санкт-Петербурга и Ленинградской области» разместило закупку на подготовку проекта планировки территории и проекта межевания «оранжевой» линии метрополитена от станции «Улица Дыбенко» до станции «Кудрово» с электродепо «Правобережное».
Стоимость работ составляет 30,5 млн рублей. Согласно условиям контракта, документацию необходимо подготовить к апрелю 2021 года.
Конкурсная документация размещена на официальном сайте АНО «Дирекция по развитию транспортной системы Санкт-Петербурга и Ленинградской области».
Срок окончания подачи заявок перенесли с 6 на 13 апреля 2020 г.
-
Svjazist
- Сообщения: 843
- Зарегистрирован: 08 май 2011, 17:31
- Станция метро: Зоопарк
- Откуда: Санкт-Петербург
Re: Кудрово
Gleb писал(а):Gleb писал(а):АНО «Дирекция по развитию транспортной системы Санкт-Петербурга и Ленинградской области» разместило закупку на подготовку проекта планировки территории и проекта межевания «оранжевой» линии метрополитена от станции «Улица Дыбенко» до станции «Кудрово» с электродепо «Правобережное».
Стоимость работ составляет 30,5 млн рублей. Согласно условиям контракта, документацию необходимо подготовить к апрелю 2021 года.
Конкурсная документация размещена на официальном сайте АНО «Дирекция по развитию транспортной системы Санкт-Петербурга и Ленинградской области».
Срок окончания подачи заявок перенесли с 6 на 13 апреля 2020 г.
И это единственное, что есть у Дирекции в план-графике по метростроению на 2020 год
http://www.spbtrd.ru/files/%D0%9F%D0%BB%D0%B0%D0%BD-%D0%B3%D1%80%D0%B0%D1%84%D0%B8%D0%BA%20%E2%84%962_2020.pdf
-
Gleb
- Сообщения: 898
- Зарегистрирован: 22 май 2006, 23:11
- Станция метро: Новочеркасская
Re: Кудрово
Svjazist писал(а):И это единственное, что есть у Дирекции в план-графике по метростроению на 2020 год![]()
http://www.spbtrd.ru/files/%D0%9F%D0%BB%D0%B0%D0%BD-%D0%B3%D1%80%D0%B0%D1%84%D0%B8%D0%BA%20%E2%84%962_2020.pdf
А чего еще от них хотеть? Проектирование этого участка полностью будет за счет бюджета СПб. А когда дойдет дело до строительства еще не известно. Других объектов в области в ближайшее время не предвидится.
-
Svjazist
- Сообщения: 843
- Зарегистрирован: 08 май 2011, 17:31
- Станция метро: Зоопарк
- Откуда: Санкт-Петербург
Re: Кудрово
Так вроде и не строят сами, не проектируют, а всё у них в мУках рождается. Если посмотреть, так кроме конкурса по остановке "Заневский пост-II" и вышеуказанному конкурсу для "Кудрово" с депо (назову это так для краткости), все остальные планы на 2020 год касаются только самого ДТС. М.б. они и произвели титанический труд для проведения этих 2х конкурсов, но со стороны, извините, ДТС всё равно кажется просто бюджетным дармоедом.Gleb писал(а):А чего еще от них хотеть? Проектирование этого участка полностью будет за счет бюджета СПб. А когда дойдет дело до строительства еще не известно. Других объектов в области в ближайшее время не предвидится.
-
Gleb
- Сообщения: 898
- Зарегистрирован: 22 май 2006, 23:11
- Станция метро: Новочеркасская
Re: Кудрово
Я отвечал только в части метростроения. Ну, а если взглянуть в этот "недоплан-график", то конечно ужас только вызывает. В области практически ничего не запланировано сделать... одни картриджи, услуги сами себе ради собственного существования...
-
Gleb
- Сообщения: 898
- Зарегистрирован: 22 май 2006, 23:11
- Станция метро: Новочеркасская
Re: Кудрово
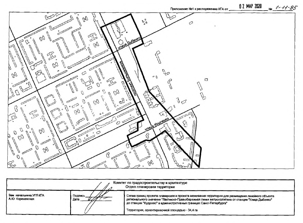
2 марта 2020 г. распоряжением Комитета по градостроительству и архитектуре (КГА) № 1-11-95 внесены изменения в предыдущее распоряжение КГА от
9 сентября 2019 г. № 1-11-275 "О подготовке документации по планировке территории для размещения линейного объекта "Строительство Лахтинско-Правобережной линии метрополитена от станции "Улица Дыбенко" до станции "Кудрово" в административных границах Санкт-Петербурга".
Срок подготовки документации по планировке территории остался без изменений - 10.09.2020 г.
Основное изменение - это наименование объекта. Теперь - это "линейный объект регионального значения "Лахтинско-Правобережная линия метрополитена от станции "Улица Дыбенко" до станции "Кудрово".
Обновлено приложение со схемой планировки территории:
9 сентября 2019 г. № 1-11-275 "О подготовке документации по планировке территории для размещения линейного объекта "Строительство Лахтинско-Правобережной линии метрополитена от станции "Улица Дыбенко" до станции "Кудрово" в административных границах Санкт-Петербурга".
Срок подготовки документации по планировке территории остался без изменений - 10.09.2020 г.
Основное изменение - это наименование объекта. Теперь - это "линейный объект регионального значения "Лахтинско-Правобережная линия метрополитена от станции "Улица Дыбенко" до станции "Кудрово".
Обновлено приложение со схемой планировки территории:
-
Григорий78
- Сообщения: 27
- Зарегистрирован: 27 июн 2019, 23:18
- Станция метро: Улица Дыбенко
Re: Кудрово
Gleb писал(а):
АНО «Дирекция по развитию транспортной системы Санкт-Петербурга и Ленинградской области» разместило закупку на подготовку проекта планировки территории и проекта межевания «оранжевой» линии метрополитена от станции «Улица Дыбенко» до станции «Кудрово» с электродепо «Правобережное».
Стоимость работ составляет 30,5 млн рублей. Согласно условиям контракта, документацию необходимо подготовить к апрелю 2021 года.
Конкурсная документация размещена на официальном сайте АНО «Дирекция по развитию транспортной системы Санкт-Петербурга и Ленинградской области».
Срок окончания подачи заявок перенесли с 6 на 13 апреля 2020 г.
Состоялась ли размещенная закупка? Кто выиграл конкурс?
АНО «Дирекция по развитию транспортной системы Санкт-Петербурга и Ленинградской области» разместило закупку на подготовку проекта планировки территории и проекта межевания «оранжевой» линии метрополитена от станции «Улица Дыбенко» до станции «Кудрово» с электродепо «Правобережное».
Стоимость работ составляет 30,5 млн рублей. Согласно условиям контракта, документацию необходимо подготовить к апрелю 2021 года.
Конкурсная документация размещена на официальном сайте АНО «Дирекция по развитию транспортной системы Санкт-Петербурга и Ленинградской области».
Срок окончания подачи заявок перенесли с 6 на 13 апреля 2020 г.
Состоялась ли размещенная закупка? Кто выиграл конкурс?
-
Gleb
- Сообщения: 898
- Зарегистрирован: 22 май 2006, 23:11
- Станция метро: Новочеркасская
Re: Кудрово
Григорий78 писал(а):Состоялась ли размещенная закупка? Кто выиграл конкурс?
Пока на сайте протокол не опубликован. Место и дата окончания рассмотрения заявок на участие в конкурсе и подведение итогов конкурса: 15 апреля 2020 года.
-
Gleb
- Сообщения: 898
- Зарегистрирован: 22 май 2006, 23:11
- Станция метро: Новочеркасская
Re: Кудрово
Gleb писал(а):АНО «Дирекция по развитию транспортной системы Санкт-Петербурга и Ленинградской области» разместило закупку на подготовку проекта планировки территории и проекта межевания «оранжевой» линии метрополитена от станции «Улица Дыбенко» до станции «Кудрово» с электродепо «Правобережное». Стоимость работ составляет 30,5 млн рублей. Согласно условиям контракта, документацию необходимо подготовить к апрелю 2021 года.
Конкурсная документация размещена на официальном сайте АНО «Дирекция по развитию транспортной системы Санкт-Петербурга и Ленинградской области».
Опубликован протокол вскрытия конвертов №К 3/20 от 13 апреля 2020 г.
На участие в конкурсе подана одна заявка - АО «Институт «Стройпроект» (г. Санкт-Петербург, Дунайский пр., д.13, корп.2, литер А).
Предложена цена - 29 585 000 руб. 00 коп.
Рассмотрение единственной заявки и подведение итогов конкурса - 15 апреля 2020 г.
-
Gleb
- Сообщения: 898
- Зарегистрирован: 22 май 2006, 23:11
- Станция метро: Новочеркасская
Re: Кудрово
Gleb писал(а):АНО «Дирекция по развитию транспортной системы Санкт-Петербурга и Ленинградской области» разместило закупку на подготовку проекта планировки территории и проекта межевания «оранжевой» линии метрополитена от станции «Улица Дыбенко» до станции «Кудрово» с электродепо «Правобережное». Стоимость работ составляет 30,5 млн рублей. Согласно условиям контракта, документацию необходимо подготовить к апрелю 2021 года.
Конкурсная документация размещена на официальном сайте АНО «Дирекция по развитию транспортной системы Санкт-Петербурга и Ленинградской области».
Опубликован протокол рассмотрения и оценки конкурсных заявок №К-3/20 от 15 апреля 2020 года.
Единственная заявка - АО «Институт «Стройпроект» (г. Санкт-Петербург, Дунайский пр., д.13, корп.2, литер А) соответствует требованиям конкурсной документации.
Договор будет заключен с указанной организацией по предложенной цене - 29 585 000 руб. 00 коп.
- GelezinisVilkas
- Сообщения: 3740
- Зарегистрирован: 15 май 2015, 12:19
- Станция метро: Дунайская
Re: Кудрово
За эти деньги можно было на Дыбенко стрелку врезать. Через год за 100 млн. километр рельс проложить, до площади, ещё через год ещё километр до Меги.
За три года был бы трамвай до метро.
А так бюджету каюк и метро там уже не будет никогда. Всё как обычно напроектируют в стол, а через пять лет снова перепроектировать. Больше бумагомарания чем реальной работы.
За три года был бы трамвай до метро.
А так бюджету каюк и метро там уже не будет никогда. Всё как обычно напроектируют в стол, а через пять лет снова перепроектировать. Больше бумагомарания чем реальной работы.
- в40
- Профессионал

- Сообщения: 14816
- Зарегистрирован: 05 фев 2009, 19:46
- Станция метро: Проспект Большевиков
- Откуда: Дачное
Re: Кудрово
Поэтому и финансируют, т.к. освоить бюджетные средства на бумагомарательстве намного проще, чем на реальном строительстве. Главное - уложиться в сроки проектирования. А качество всех этих бумажек мало кого интересует.
О=О=О=О=О=О=О=О=О=О=О=О=О=О=О=О=О=О=О
-
Григорий78
- Сообщения: 27
- Зарегистрирован: 27 июн 2019, 23:18
- Станция метро: Улица Дыбенко
Re: Кудрово
06.03.2020, 19:17
Проектную документацию метро до Кудрово подготовят к апрелю 2021 года
АНО «Дирекция по развитию транспортной системы Санкт-Петербурга и Ленинградской области» разместило закупку на подготовку проекта планировки территории и проекта межевания «оранжевой» линии метрополитена от станции «Улица Дыбенко» до станции «Кудрово» с электродепо «Правобережное». Стоимость работ составляет 30,5 млн рублей. Согласно условиям контракта, документацию необходимо подготовить к апрелю 2021 года.
В настоящий момент тот участок, который проходит по территории Петербурга, уже проектируется, эта документация будет готова к октябрю 2020 года.
Между тем, как ранее сообщал “Ъ-СПб”, федеральное софинансирование участка ветки метро до Кудрово еще не подтверждено. Стоимость строительства оценивается в 57 млрд руб. И если федеральные власти не одобрят выделение средств, то правительствам Петербурга и Ленобласти придется изыскивать средства в региональных бюджетах.
Gleb подскажите ,пожалуйста, как я понял за проект, который готовится для Ленобласти.Всеволожский район будет теперь отвечать АО «Институт «Стройпроект» (г. Санкт-Петербург, Дунайский пр., д.13, корп.2, литер А).Этот проект должен быть готов к апрелю 2021 года.
А за проект который проходит по территории Петербурга, уже проектируется, эта документация будет готова к октябрю 2020 года кто разработчик? Заранее спасибо.
Проектную документацию метро до Кудрово подготовят к апрелю 2021 года
АНО «Дирекция по развитию транспортной системы Санкт-Петербурга и Ленинградской области» разместило закупку на подготовку проекта планировки территории и проекта межевания «оранжевой» линии метрополитена от станции «Улица Дыбенко» до станции «Кудрово» с электродепо «Правобережное». Стоимость работ составляет 30,5 млн рублей. Согласно условиям контракта, документацию необходимо подготовить к апрелю 2021 года.
В настоящий момент тот участок, который проходит по территории Петербурга, уже проектируется, эта документация будет готова к октябрю 2020 года.
Между тем, как ранее сообщал “Ъ-СПб”, федеральное софинансирование участка ветки метро до Кудрово еще не подтверждено. Стоимость строительства оценивается в 57 млрд руб. И если федеральные власти не одобрят выделение средств, то правительствам Петербурга и Ленобласти придется изыскивать средства в региональных бюджетах.
Gleb подскажите ,пожалуйста, как я понял за проект, который готовится для Ленобласти.Всеволожский район будет теперь отвечать АО «Институт «Стройпроект» (г. Санкт-Петербург, Дунайский пр., д.13, корп.2, литер А).Этот проект должен быть готов к апрелю 2021 года.
А за проект который проходит по территории Петербурга, уже проектируется, эта документация будет готова к октябрю 2020 года кто разработчик? Заранее спасибо.