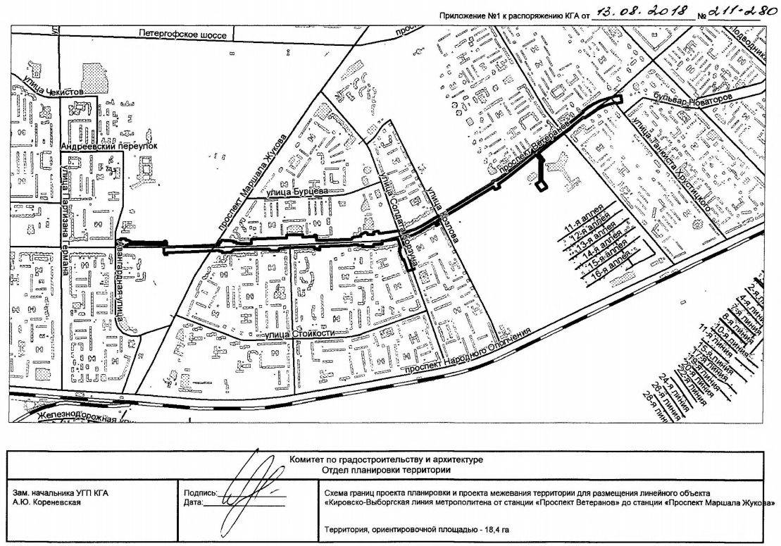
Выполнение работ по подготовке документации по планировке территории для размещения линейного Объекта: "Строительство Кировско-Выборгской линии от станции "Проспект Ветеранов" до станции "Проспект Маршала Жукова".
Ориентировочный срок исполнения август 2018 - сентябрь 2019.
Надеюсь, что вариант с трассой в "Пулково" отпал окончательно и наконец вернулись к старым планам (хоть и с опозданием лет на 40
).