Схема путевого развития станции Новый Петрегоф 80-е,
-
Владимир_В_Е
- Сообщения: 641
- Зарегистрирован: 02 июн 2009, 13:24
- Станция метро: Боровая
Схема путевого развития станции Новый Петрегоф 80-е,
Приветствую!
Форумчане, нет ли у кого схем путевого развития станции Новый Петергоф? Особо интересны 1980-е, но и более ранние тоже подойдут. В википедиях и викимапиях пишут про тупики со стороны северной платформы. Я их не помню, а вот супруга помнит что был как минимум один. Кто что знает? Ссылки на схемы тоже подойдут, гугление толком ничего не дало, попробую порыть ещё на араунд СПБ но это дело долгое...
Форумчане, нет ли у кого схем путевого развития станции Новый Петергоф? Особо интересны 1980-е, но и более ранние тоже подойдут. В википедиях и викимапиях пишут про тупики со стороны северной платформы. Я их не помню, а вот супруга помнит что был как минимум один. Кто что знает? Ссылки на схемы тоже подойдут, гугление толком ничего не дало, попробую порыть ещё на араунд СПБ но это дело долгое...
- AlanRu
- Сообщения: 96
- Зарегистрирован: 27 дек 2010, 01:56
- Станция метро: Броневая
- Откуда: Корпусное Шоссе
Re: Схема путевого развития станции Новый Петрегоф 80-е,
Документальной схемы нет,но есть отчётливая память,подкреплённая практически ежедневным двухразовым проездом(иногда с остановкой)Н.Петергофа в 1984-1992 годах:
"северная"платформа(нечётная)-2 тупика,один немного короче;оба электрифицированные,самый крайний без платформы(исключительно для отстоя резервных составов). Рельсы упирались практически в заднюю стену летних касс,ныне ликвидированных и разобранных;
"южная" платформа-чётная для транзитных-один тупик на примерно том же месте,что и ныне. Собственно,он единственный и действует сегодня. Про промежуточный путь с скошенным съездом под шатром упоминать надо?
Иногда там оказывалась на отстое рижская "Балтия" 37/38.
Третий путь,в обход шатра, капитально перекладывали "на бесстык" уже в 1994м,когда мои регулярные поездки уже прекратились.
Если остались вопросы,задавайте-в пределах памяти отвечу.
Собственно,платформы Н.Петергофа,как ни странно,хорошо узнаваемы в конце советског фильма ."Кортик",в сцене ареста главного негодяя по сюжету. Всё происходит непосредственно метрах в 5 перед нынешней стекляшкой с турникетами,а диалог двух юных пионеров чуть ранее-в корне "южного" тупика,возле ныне разрушенной котельной-воздуходувки стрелок. Панорама станции в фильме практически не отличается от вида 1985-88 годов.
"северная"платформа(нечётная)-2 тупика,один немного короче;оба электрифицированные,самый крайний без платформы(исключительно для отстоя резервных составов). Рельсы упирались практически в заднюю стену летних касс,ныне ликвидированных и разобранных;
"южная" платформа-чётная для транзитных-один тупик на примерно том же месте,что и ныне. Собственно,он единственный и действует сегодня. Про промежуточный путь с скошенным съездом под шатром упоминать надо?
Иногда там оказывалась на отстое рижская "Балтия" 37/38.
Третий путь,в обход шатра, капитально перекладывали "на бесстык" уже в 1994м,когда мои регулярные поездки уже прекратились.
Если остались вопросы,задавайте-в пределах памяти отвечу.
Собственно,платформы Н.Петергофа,как ни странно,хорошо узнаваемы в конце советског фильма ."Кортик",в сцене ареста главного негодяя по сюжету. Всё происходит непосредственно метрах в 5 перед нынешней стекляшкой с турникетами,а диалог двух юных пионеров чуть ранее-в корне "южного" тупика,возле ныне разрушенной котельной-воздуходувки стрелок. Панорама станции в фильме практически не отличается от вида 1985-88 годов.
- Rumm
- Диггер Параноик
- Сообщения: 2838
- Зарегистрирован: 15 апр 2004, 14:42
- Станция метро: Сенная Площадь
- Откуда: Из болота Питерского
- Контактная информация:
Re: Схема путевого развития станции Новый Петрегоф 80-е,
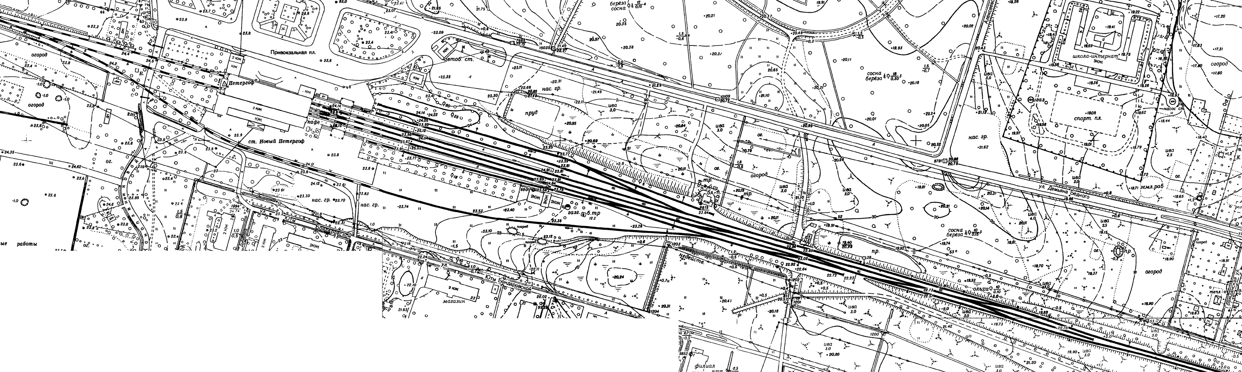
Как-то так...
Подоснова середина-конец 80х
Подоснова середина-конец 80х
Избегай троп, по которым ходят трамваи и троллейбусы — они приводят не к человечьему жилью, а в их логово
-
Владимир_В_Е
- Сообщения: 641
- Зарегистрирован: 02 июн 2009, 13:24
- Станция метро: Боровая
Re: Схема путевого развития станции Новый Петрегоф 80-е,
Ох нефига-себе, сколько там всего понаворочено было! Куча тупиков.. Для чего использовались средние пути?
- AlanRu
- Сообщения: 96
- Зарегистрирован: 27 дек 2010, 01:56
- Станция метро: Броневая
- Откуда: Корпусное Шоссе
Re: Схема путевого развития станции Новый Петрегоф 80-е,
Владимир_В_Е писал(а):Ох нефига-себе, сколько там всего понаворочено было! Куча тупиков.. Для чего использовались средние пути?
Я жписал выше: для отстоя всего чего ни попадя(чаще всего-путейской техники).
А чертеж классный,и главное-корректный:"лучше один раз увидеть"...

- Metroschemes
- Сообщения: 6502
- Зарегистрирован: 22 окт 2005, 04:19
- last_fm: Metroschemes
- Станция метро: Парнас
- Откуда: Питер
- Контактная информация:
Re: Схема путевого развития станции Новый Петрегоф 80-е,
Отчетливо помню, как когда-то в 90-х приехали из города на тупиковый путь, который ближе к паркам.
Всего за месяц ЗЕНИТ взял три трофея и одну станцию метро!
Заходите на мой сайт: Схема метро - История метрополитенов в схемах!
Заходите на мой сайт: Схема метро - История метрополитенов в схемах!
- в40
- Профессионал

- Сообщения: 14816
- Зарегистрирован: 05 фев 2009, 19:46
- Станция метро: Проспект Большевиков
- Откуда: Дачное
Re: Схема путевого развития станции Новый Петрегоф 80-е,
В 90-е годы не помню, а вот в 80-х электрички ходили до Нового Петергофа. Особенно много таких маршрутов было в день открытия фонтанов.
Кстати, и до Красного Села были отдельные маршруты.
Кстати, и до Красного Села были отдельные маршруты.
О=О=О=О=О=О=О=О=О=О=О=О=О=О=О=О=О=О=О
- Metroschemes
- Сообщения: 6502
- Зарегистрирован: 22 окт 2005, 04:19
- last_fm: Metroschemes
- Станция метро: Парнас
- Откуда: Питер
- Контактная информация:
Re: Схема путевого развития станции Новый Петрегоф 80-е,
В 90-х точно, т.к. в 80-е я был еще очень маленький и такие моменты точно бы не запомнил.
Всего за месяц ЗЕНИТ взял три трофея и одну станцию метро!
Заходите на мой сайт: Схема метро - История метрополитенов в схемах!
Заходите на мой сайт: Схема метро - История метрополитенов в схемах!
-
Серафим
- Сообщения: 222
- Зарегистрирован: 17 июн 2006, 23:00
- Станция метро: Московская
- Откуда: Из Петербурга
Re: Схема путевого развития станции Новый Петрегоф 80-е,
В моем детстве (80-е) поезда, следовавшие до Нового Петергофа, прибывали на тупиковый путь южной платформы. Северный тупик использовался один раз в день - туда прибывал поезд с Варшавского вокзала (где-то около 14.00 обычно) - кажется, ходил он не каждый день.
-
Владимир_В_Е
- Сообщения: 641
- Зарегистрирован: 02 июн 2009, 13:24
- Станция метро: Боровая
Re: Схема путевого развития станции Новый Петрегоф 80-е,
В 80-е прилично было электричек идущих на Варшавский вокзал. Судя по забитости народом - явно из Калища или Краснофлотска. Есть детские воспоминания о том, как пропускали такие, т.к. идти маме с мелким мной от Варшавского на Балтийскую не хотелось.